Find Your Style
Women
Men
Accessories
Search for clothing, brands, styles...
×
Women
Men
Accessories
Database Ha Icon
Search
Loading...
No suggestions found
Datenbank -Icons – 85,883 kostenlose Icons
flaticon.com
Firewalls on High Availability(HA) : Benefits and Challenges - GBB
gbb.co.in
PHP, Node.js, Javascript, Typescript, HTML, CSS, Database, Cloud, redis ...
techsimple.in
Installing 3scale | Red Hat 3scale API Management | 2.13 | Red Hat ...
docs.redhat.com
Premium Databases - USA & India Business Leads
leadscorp.in
Lloyd 43 Inch LED TV T-con Board for Model L43U2A0KA
greatbharatspares.com
Mitashi 50 Inch LED TV T-con Board for Model MIDEO50V03FS
greatbharatspares.com
Samsung 40 Inch LED TV T-con Board for Model UA40HU7000R
greatbharatspares.com
Sanyo 43 Inch LED TV T-con Board for Model XT43FHDAS
greatbharatspares.com
LG 65 Inch LED TV T-Con Board for Model 6870C-0740A
greatbharatspares.com
Buy Original LG LED TV T-con Board for 43LF513A-TA | Tested & Genuine
greatbharatspares.com
Buy Samsung 43 Inch LED TV T-con Board for Model UA43M5100ALXL
greatbharatspares.com
Buy Original Mi LED TV IR Sensor for L55M5-5XIN | Tested & Genuine
greatbharatspares.com
Buy Original Micromax LED TV IR Sensor for 40B200HD | Tested & Genuine
greatbharatspares.com
Buy Original Marq LED TV IR Sensor for 49VAOUHDM | Tested & Genuine
greatbharatspares.com
Buy Original Marq LED TV IR Sensor for 32HSHD | Tested & Genuine
greatbharatspares.com
Buy Original Samsung LED TV Motherboard for UA40N5000ARXXL
greatbharatspares.com
Buy Original MARQ LED TV IR Sensor for 32DSHD | Tested & Genuine
greatbharatspares.com
Databases: ISRO2017-8
gateoverflow.in
Buy Original LG LED TV IR Sensor for 55LA710V | Tested & Genuine
greatbharatspares.com
Buy Original Lloyd LED TV IR Sensor for L32N2S | Tested & Genuine
greatbharatspares.com
Sharp 50 Inch LED TV T-con Board for Model LC-50UA6800X
greatbharatspares.com
What are cloud databases ? | OVHcloud India
ovhcloud.com
Database management system software company | EITPL
eitpl.in
Database Consulting Services in India
esds.co.in
Os Símbolos do Diagrama de Modelo de Banco de Dados
edrawsoft.com
SQL Server Architecture – THE LIFE CYCLE OF A QUERY-Part 1 – ADsql-Tech ...
adsql.in
Buy FortiGate-200F Hardware Plus 3 Year 24x7 FortiCare and FortiGuard ...
ubuy.co.in
डेटाबेस के प्रकार (Types of Database in Hindi) - Tutorial in Hindi
tutorialinhindi.com
What is MongoDB ? Features & use | OVHcloud India
ovhcloud.com
Database Consulting Services in India | ESDS
esds.co.in
Building HA Clusters with Ansible and Openstack - Raymii.org
raymii.org
Mewar University Central Library catalog
library.mewaruniversity.org
Kiddie Kingdom Stroller - 3 Position Recline, Easy Fold, Reversible Ha
rforrabbit.com
Entity-Relationship (ER) Diagram Symbols and Notations | EdrawMax
edrawsoft.com
Buy FUNDAMENTALS OF DATABASE SYSTEM, 7TH EDN Book Online at Low Prices ...
amazon.in
Kiddie Kingdom Stroller - 3 Position Recline, Easy Fold, Reversible Ha
rforrabbit.com
Kiddie Kingdom Stroller - 3 Position Recline, Easy Fold, Reversible Ha
rforrabbit.com
Kiddie Kingdom Stroller - 3 Position Recline, Easy Fold, Reversible Ha
rforrabbit.com
Database Managed Services - R S InfoCon
rsinfocon.com
What are cloud databases ? | OVHcloud India
ovhcloud.com
What Is a DBMS? Understanding Database Management System
hostinger.in
Kiddie Kingdom Stroller - 3 Position Recline, Easy Fold, Reversible Ha
rforrabbit.com
Kiddie Kingdom Stroller - 3 Position Recline, Easy Fold, Reversible Ha
rforrabbit.com
Kiddie Kingdom Stroller - 3 Position Recline, Easy Fold, Reversible Ha
rforrabbit.com
Kiddie Kingdom Stroller - 3 Position Recline, Easy Fold, Reversible Ha
rforrabbit.com
Kiddie Kingdom Stroller - 3 Position Recline, Easy Fold, Reversible Ha
rforrabbit.com
Kiddie Kingdom Stroller - 3 Position Recline, Easy Fold, Reversible Ha
rforrabbit.com
Kiddie Kingdom Stroller - 3 Position Recline, Easy Fold, Reversible Ha
rforrabbit.com
Database Consulting Services in India | ESDS
esds.co.in
R.E.P.O.
in.ign.com
AI-ML Virtual Internship - AN INTERNSHIP REPORT ON AI - ML VIRTUAL ...
studocu.com
Kiddie Kingdom Stroller - 3 Position Recline, Easy Fold, Reversible Ha
rforrabbit.com
How to add and edit widgets on your iPhone - Apple Support (IN)
support.apple.com
Buy Security - ASA5508-FTD-K9 - Cisco ASA 5508-X with FirePOWER Threat ...
metapoint.in
Database Consulting Services in India | ESDS
forums.esds.co.in
Kiddie Kingdom Stroller - 3 Position Recline, Easy Fold, Reversible Ha
rforrabbit.com
Kiddie Kingdom Stroller - 3 Position Recline, Easy Fold, Reversible Ha
rforrabbit.com
Kiddie Kingdom Stroller - 3 Position Recline, Easy Fold, Reversible Ha
rforrabbit.com
Kiddie Kingdom Stroller - 3 Position Recline, Easy Fold, Reversible Ha
rforrabbit.com
What is R and D
investindia.gov.in
Kiddie Kingdom Stroller - 3 Position Recline, Easy Fold, Reversible Ha
rforrabbit.com
Kiddie Kingdom Stroller - 3 Position Recline, Easy Fold, Reversible Ha
rforrabbit.com
Database System Concepts | 7th Edition: Buy Database System Concepts ...
flipkart.com
GAVO HARSHIDDHI Cow Dung Cake | Natural Eco-Friendly Gobar Upla for Ha
gavoharshiddhi.com
Types of cloud computing | OVHcloud India
ovhcloud.com
ICAR-NBPGR | MTS Database
pgrinformatics.nbpgr.ernet.in
rRNA Database 16S-23S-5S
project.iith.ac.in
Start SQL databases | MySQL hosting | OVHcloud India
ovhcloud.com
Publishing power BI broken when OneDrive refresh i... - Microsoft ...
community.fabric.microsoft.com
SoundPEATS T2 Wireless Earbuds ANC Noise Cancelling Bluetooth V5.1 ...
electroniksindia.com
'Haha is Haram', Bangladeshi Cleric Issues Fatwa Against Facebook's ...
indiatimes.com
Portal:Datenbanken – GenWiki
wiki.genealogy.net
Cisco Catalyst 9800 Series Wireless LAN Controllers - Cisco
cisco.com
What Is Data Ingestion? | Informatica India
informatica.com
【新作発売】White Labelの裏起毛パーカー&シャギー裏地トップス3型|2026年冬のおすすめ | AMUY TRYSBAY
amuytrysbay.thebase.in
How LEAD’s student database management system helps schools be efficient?
leadschool.in
HOTEL HA (Orizaba, Veracruz) - Hotel Reviews, Photos, Rate Comparison ...
tripadvisor.in
Best Ha Long Bay Tours & Tickets - Book Now
viator.com
10 plantillas de diagramas ER para agilizar los sistemas de gestión ...
edrawsoft.com
【新作発売】White Labelの裏起毛パーカー&シャギー裏地トップス3型|2026年冬のおすすめ | AMUY TRYSBAY
amuytrysbay.thebase.in
Databases: GATE CSE 2023 | Question: 6
gateoverflow.in
Protein Sequence Database - PROTEIN SEQUENCE DATABASE In fact, the ...
studocu.com
Achieving High Availability of Databases through Failover Clustering ...
informatics.nic.in
Real Applications Clusters | Oracle India
oracle.com
How to segment texts for embeddings?
abdullin.com
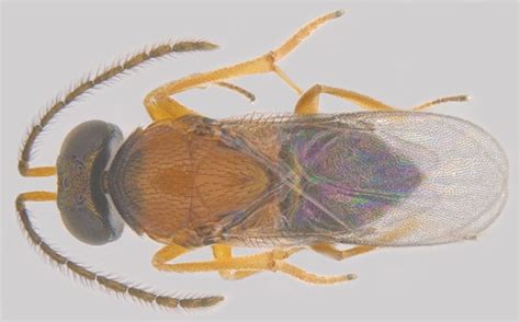
Insect Pests
databases.nbair.res.in
Featured insects
databases.nbair.res.in
Featured insects
databases.nbair.res.in
Featured insects
databases.nbair.res.in
Insect Pests
databases.nbair.res.in
Insect Pests
databases.nbair.res.in
Insect Pests
databases.nbair.res.in
Indian institute of Technical Education
iite.in
Signage - Premium Solutions | Custom Neon & LED Signs
acrylicsignboards.in
Insect Pests
databases.nbair.res.in
Insect Pests
databases.nbair.res.in
Insect Pests
databases.nbair.res.in
ICAR-NBAIR Types
databases.nbair.res.in
ICAR-NBAIR Types
databases.nbair.res.in
Insect Pests
databases.nbair.res.in
CBSE Class 12 Psychology Previous Year Questions 2025 | Download PDF
educart.co
Migration Certificate
mu.migrationcertificate.in
JVC ワイヤレスステレオヘッドセット XXシリーズ|HA-XC72T-R|[通販]ケーズデンキ
ksdenki.com
Insect Pests
databases.nbair.res.in
ರಾ.ಹ. ದೇಶಪಾಂಡೆ (ರಾಮಚಂದ್ರ ಹಣಮಂತರಾಯ ದೇಶಪಾಂಡೆ) - ಸೊಬಗು - Sobagu
sobagu.in
Insect Pests
databases.nbair.res.in
Insect Pests
databases.nbair.res.in
Discover K-Drama Actor Wi Ha-joon’s Secrets To Staying In Shape | Metro ...
metro.style
ICAR-NBAIR Types
databases.nbair.res.in
Insect Pests
databases.nbair.res.in
Database Consulting Services in India | ESDS
esds.co.in
ICAR-NBAIR Types
databases.nbair.res.in
ICAR-NBAIR Types
databases.nbair.res.in
ICAR-NBAIR Types
databases.nbair.res.in
Invisible Browser - Stay Private & Undetectable Online
invisiblebrowser.in
2023 Honda Civic Type R unveiled as the most powerful model in 30 years ...
overdrive.in
Insect Pests
databases.nbair.res.in
Know Your Hair With The Vedix Hair Questionnaire – Vedix
vedix.com
Insect Pests
databases.nbair.res.in
Related Searches
Database Cartoon Icon
Database Diagram Icon
Database Storage Icon
Database Application Icon
Database View Icon
Vector Database Icon
Flat Database Icon
Database Icon Black
Single Database Icon
Vectorized Database Icon
Database Model Icon
Database Bot Icon
5 Database Icon
Database Icon Clip Art
Relational Database Icon
Database Icon Light
Database Architecture Icon
Simple Database Icon
Icon for Database
Flat File Database Icon
Database Cabenit Icon
Database Illustration Icon
Database JPEG Icon
Cache Database Icon
Database Handler Icon
Database Management Icon
Database Building Icon
Asset Database Icon
Database Emoji Icon
Database Design Icon
Database Function Icon
Database Object Icon
Database Icon ICO
Database Icon Blank
Solid Database Icon
Database Icon Cute
Event Database Icon
Syn Database Icon
Two Database Icon
Database Listener Icon
Azure Database Icon
Pgvector Database Icon
Database Boolean Icon
Database and Book Icon
Numbering Database Icon
Vectorial Database Icon
Database Link Icon
Complex Database Icon
Stock Database Icon
UML Database Icon
Search
×
Search
Loading...
No suggestions found